Skip to main content
Skip to main content
College of Natural and Agricultural Sciences
UCR Home
Search
Quick Links
Find People
UC Riverside
Heteropteran Systematics Lab
Department of Entomology
Search
Welcome
Assassin Bugs
Dipsocoromorpha
Research
Reduviidae
Dipsocoromorpha
Miridae
Other (Heteroptera & more)
People
Current Lab Members
Former Lab Members
Visiting Researchers
Publications
Trips & Media
Teaching
News
Resources
Contact
UCR Home
Quick Links
Find People
Breadcrumb
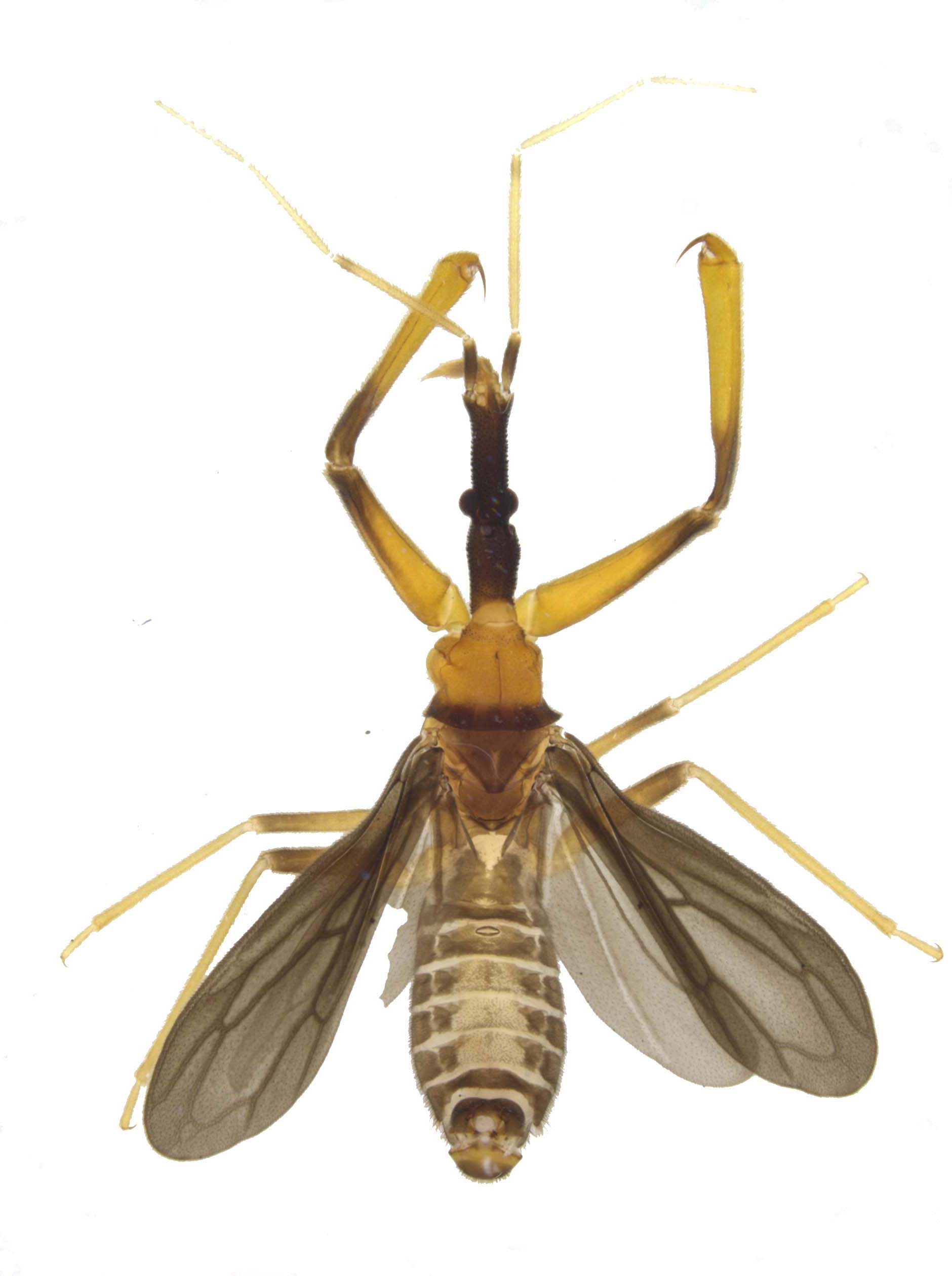
Enicocephalidae
Enicocephalidae
Please Click Here to Download the Image
Let us help you with your search
×
Enter your Search Criteria
Search All UCR
Search This Site
Cancel